El registro de usuario está deshabilitado en esta demostración.
Reiniciar contraseña
Por favor introduzca su nombre de usuario o dirección de correo electrónico. Recibirá un enlace para crear una nueva contraseña por correo electrónico.
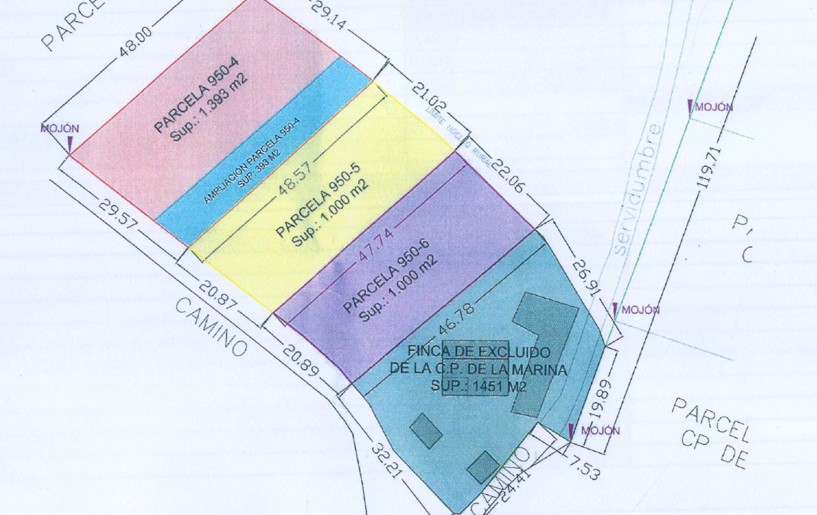
Parcela situada a tan solo 2 km. del casco urbano de Tapia y de sus playas, zona llana y tranquila con todos los servicios a pie de finca. Superficie de la parcela 1.393 M2. edificables para vivienda unifamiliar.